Bà Rịa - Vũng Tàu: Sự việc mâu thuẫn liên quan đất đai cần sớm giải quyết dứt điểm
(PLVN) - Thời gian qua, bà Trần Thị Kim Chi (SN 1967, ngụ xã Long Mỹ, huyện Đất Đỏ, Bà Rịa - Vũng Tàu (BR-VT)) có một số đơn thư gửi đến các cơ quan chức năng về sự việc mâu thuẫn liên quan đến mảnh đất bà đã mua và đề nghị các cơ quan chức năng sớm xử lý dứt điểm.
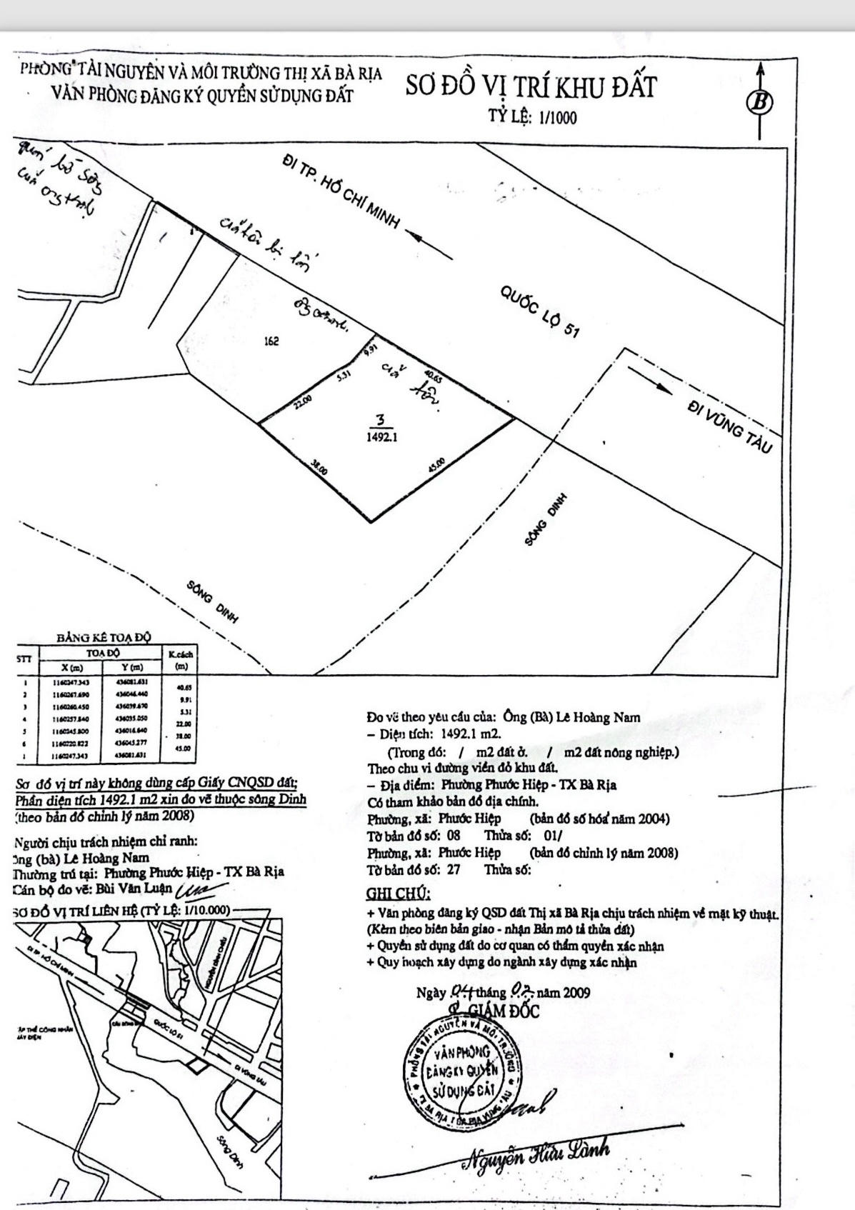
Theo hồ sơ, thửa đất 08 tờ bản đồ 01, nay là tờ bản đồ 27 (bản đồ 2008) có diện tích 1492.1m2, mặt tiền giáp QL51 thuộc phường Phước Hiệp, TX Bà Rịa (nay là TP Bà Rịa, BR-VT) do ông Lê Hoàng Nam (SN 1955) khai phá, sử dụng nuôi trồng thủy sản từ 1987.
Năm 2009, ông Nam làm các thủ tục xin cấp sổ đỏ. Tại phiếu lấy ý kiến khu dân cư, biên bản xác minh của UBND phường cùng ngày 27/4/2009, xác định nguồn gốc đất đúng như trên, ông Nam sử dụng ổn định, không xảy ra tranh chấp. Thửa đất được Văn phòng Đăng ký đất đai chi nhánh Bà Rịa đo vẽ, xác nhận diện tích.
Ngày 26/7/2010, ông Nam lập hợp đồng chuyển nhượng cho bà Chi toàn bộ 1492,1 m2. Do ông Nam đang làm thủ tục cấp sổ đỏ nên sau khi chuyển nhượng, ngày 27/7/2010 ông Nam lập ủy quyền cho bà Chi thực hiện các thủ tục còn lại cho đến khi được cấp sổ đỏ.
Cạnh thửa đất này, bà Chi còn nhận chuyển nhượng phần đất của vợ chồng ông Lê Anh Đào và bà Ôn Thị Kim Thảo, có chiều ngang 12,5m, dài từ đường QL51 đến bờ sông Dinh, tiếp giáp với đất của ông Nguyễn Văn T.
Ngày 6/12/2018, bà Chi có đơn cho rằng sau khi nhận chuyển nhượng, nhiều lần đăng ký cấp sổ đỏ nhưng bị chính người hàng xóm là ông T “gây khó dễ” vì ông T thời điểm đó là một trong những cán bộ quản lý đất đai tại địa phương. Bà Chi còn cho rằng ông T lấn chiếm, phá căn nhà mái tôn vách ván và tự ý xây dựng trên khu đất bà đã mua.
![]() |
Bản vẽ năm 2009 thể hiện thửa đất bà Chi nhận chuyển nhượng. |
Ngày 24/12/2018, Thường trực Tỉnh ủy có Phiếu chuyển 269-PC/TU chuyển đơn của bà Chi đến UBND tỉnh để xem xét, xử lý, trả lời công dân và báo cáo kết quả đến Thường trực Tỉnh ủy. Ngày 10/1/2019, UBND tỉnh chuyển đơn đến UBND Bà Rịa xem xét, giải quyết đơn. Ngày 14/1/2019, UBND Bà Rịa có Văn bản 357/UBND-VP chuyển đơn đến Thanh tra TP Bà Rịa, giao Chánh Thanh tra chủ trì phối hợp các ngành chức năng rà soát hồ sơ, kiểm tra, xác minh nội dung đơn, báo cáo đề xuất UBND TP xem xét, giải quyết.
Ngày 7/03/2019, UBND tỉnh có Thông báo 117/TB-UBND về kết luận của Phó Chủ tịch UBND tỉnh tại cuộc họp nghe báo cáo giải quyết sự việc; đồng ý với kiến nghị của Thanh tra tỉnh về việc chuyển toàn bộ hồ sơ vụ việc đến Cơ quan CSĐT Công an tỉnh để làm rõ theo quy định pháp luật. Giao Thanh tra tỉnh chuyển hồ sơ đến Công an tỉnh. Sau khi có kết quả của CQĐT, thì Thanh tra tỉnh tiếp tục tham mưu để UBND tỉnh giải quyết tố cáo của bà Chi với ông T.
Bà Chi cho rằng, đến nay sự việc vẫn chưa được giải quyết dứt điểm vì quá trình trả lại đất cho bà, đã không có sự tham gia có mặt của mình trong quá trình đo vẽ, dẫn đến có sai lệch về diện tích. Bà cho rằng theo bản đồ đo vẽ năm 2009, diện tích bà nhận chuyển nhượng là 1.492,1 m2 nhưng khi trả lại thì chỉ có 1.270,3 m2. Bà giao nộp bản vẽ năm 2009 nhưng chưa được xem xét. Vì vậy bà Chi đề nghị cơ quan chức năng địa phương giải quyết dứt điểm sự việc.
